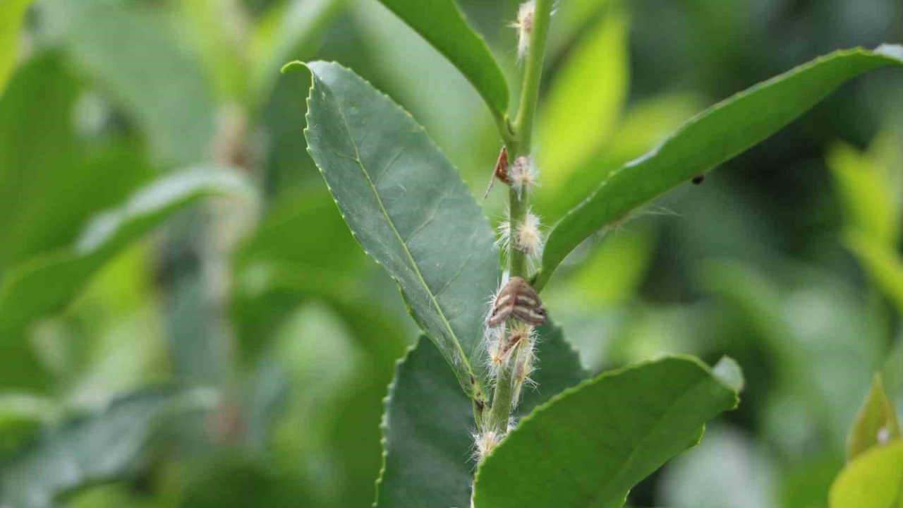
Doğu Karadeniz Bölgesi'nde ilk olarak 2008 yılında görülen ve bitkilerin özsuyunu emdiği için 'Vampir Kelebek' olarak bilinen Ricania Simulans, artan sıcaklıklarla birlikte bölgede yeniden yayılmaya başladı.
Rize’de yeşil bitkilerin özünü emdiği için ’vampir kelebek’ olarak adlandırılan ve çiftçilerin kabusu haline gelen Ricania Simulans’ın yumurtlama dönemi olan Temmuz ayında, bıraktığı yumurtalar Ağustos ayında kelebeğe dönüşünce bitkilere ciddi anlamda zarar veriyor.
Rize’nin Çayeli ilçesinde yaşayan Adnan Cengiz isimli vatandaş vampir kelebeklerin çay başta olmak üzere tüm bitkilere zarar verdiğini söyledi. Cengiz "Karadeniz bölgesinde Rize Çayeli’nde bu kelebek haddinden fazla türedi. Sizin de gördüğünüz gibi salatalıkları, fasulyeleri ve meyveleri tamamen kuruttu. Tarım Bakanımız bunun için bilhassa bu kelebekler için şikâyetçiyiz. Gece evde oturamıyoruz, gece kapılara ve pençelere çıkamıyoruz. Her taraf kelebek dolu bundan biz rahatsızız ne olacak bilmiyoruz. Karadeniz bölgesini bu kelebekler tamamen sardı. Rahatsız oluyoruz hiç meyve ve çay kalmadı. Bas baya bizi rahatsız ediyor. Buna büyüklerimiz bir el atsa da bunlardan bizi kurtarsınlar" dedi.
Yorumlar
Kalan Karakter: